| 価 格 | 1,380万円 (坪単価:13.04万円) | 種 別 | 土地 |
| 住所・所在地 | 千葉県 袖ヶ浦市 代宿 74-2 | 交通・所要時間 | JR内房線 長浦駅 |
| おすすめ |
|
||
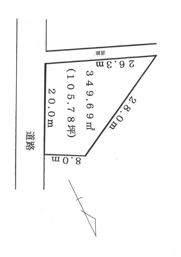
| 土地面積 | 349.69m² (105.78坪) | 建物面積 | - |
| 建物構造 | - | ||
| 間取り | 4SLDK | 築年月 | - |
| 地目 | 宅地 | ||
| 都市計画 | 市街化区域 | 用途地域 | 第1種低層住居専用地域 |
| 建ぺい率 | 50% | 容積率 | 100% |
| 接面道路 |
東 8m 公道 20.0m接道 南 3.6m 公道 26.3m接道 |
||
| 設備 |
東京電力 東京ガス 公営水道 公共下水
※設備については、直ちに利用可能な前面道路の配管等について表示しています。 |
||
| 小学校区 | 長浦 | ||
| その他 | |||
| 取引形態 | 一般媒介 | ||
※図面と現状が相違する場合は現状を優先とさせていただきます。
※又、物件掲載中に成約済の場合はご了承下さい。
- 袖ヶ浦市代宿 土地105坪 目の前が公園で子育てには便利です。日当たりが良く間取り自由度UP。
所在地マップ・交通案内
千葉県 袖ヶ浦市 代宿 74-2
JR内房線 長浦駅
JR内房線 長浦駅
#com_get.campnay_name#
お電話でのお問い合わせは #com_get.tel#



